southampton scuba divers

Maldives 2011

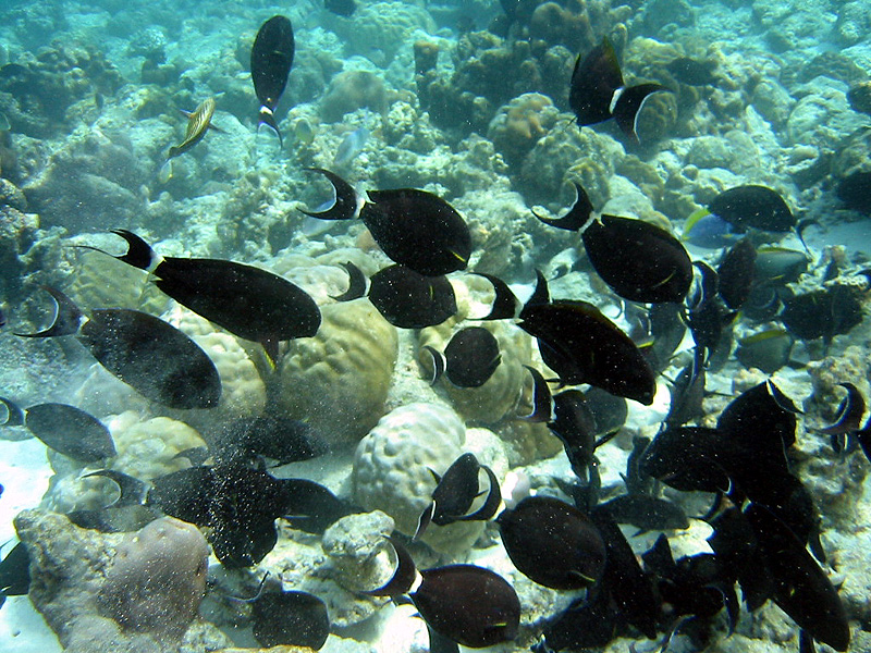
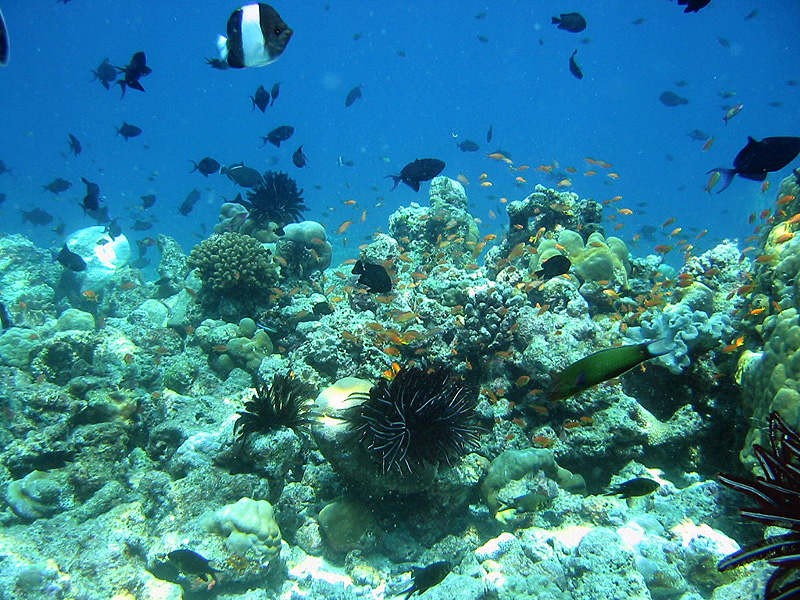
Coral reef studded beaches, white sands, turquoise seas.

Diving in the Maldives is like getting into a giant tropical fish tank. The waters are crystal clear, warm and the atolls provide brilliant reef diving with an abundance of marine life.

 

Click on the images to see a larger photo.